Tree of the Month: Italian alder
Italian alder - Alnus cordata
Another Silk Wood Community Planting Project tree, this month’s tree is a bit different, being introduced to the UK around 1820 from the mediterranean.

Unlike common alder, Alnus glutinosa, Italian alder won’t be found in wet woodland, damp conditions or floodplains near rivers – it’s far happier on dry, well-drained and chalky soils.
Coming from Southern Italy and Corsica, means it’s a hardy tree that’s very tolerant to drought conditions – making it an ideal choice to plant for a future warming climate, and one to focus on after our very dry spring. It’s also tolerant to wind, so makes a good shelter-belt tree for other species.
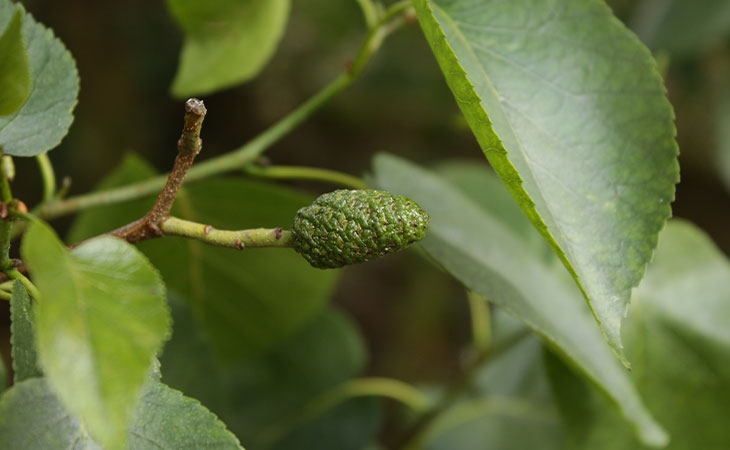
It’s a light-demanding tree and therefore grows larger than any other alder species, with smooth bark which develops short vertical cracks when mature. Along with common alder, you can look for the green female cone-like catkins, which turn brown and open to disperse seed once pollinated. Italian alder cones are the biggest of any alder species.



Like all alders, it has the ability to fix nitrogen – a key component of plant health – through a symbiotic relationship with a bacterium. The nitrogen is released back into the soil, improving conditions for other plants and trees in the vicinity, making it an ideal ‘nurse’ species for other trees where nutrient levels are poor.


Although the amount of Italian alder we’re planting is small, with its tolerance to drought, wind, and abilities to fix nitrogen for other species, we hope you can see why it could be a key component of future broadleaf woodlands.
